조황관리HOME / 조황관리 / 상세정보

제목 : 25년 1월4일 우럭다잡아 조황
등록일 : 2025-01-07



안녕하세요.

메타피싱클럽 삼길포천마호 선장입니다.

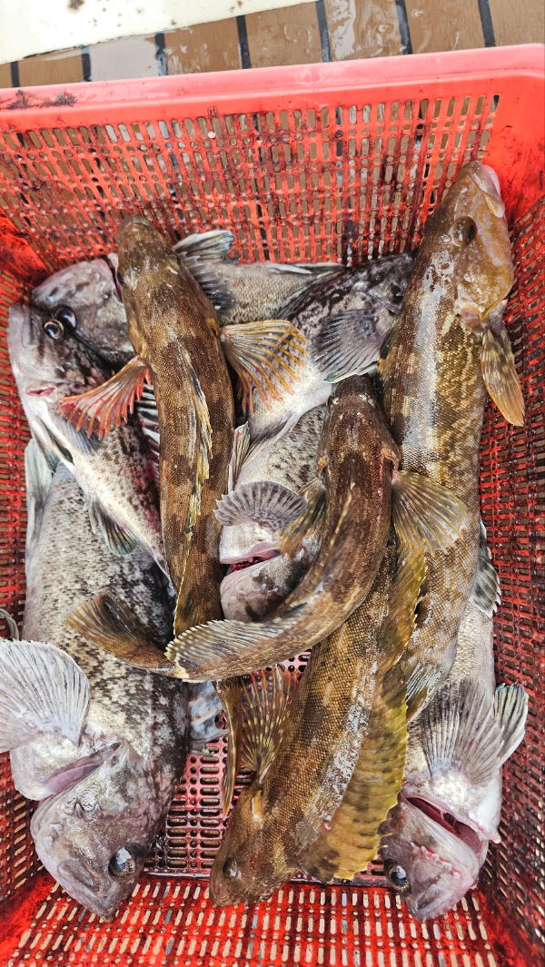
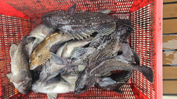
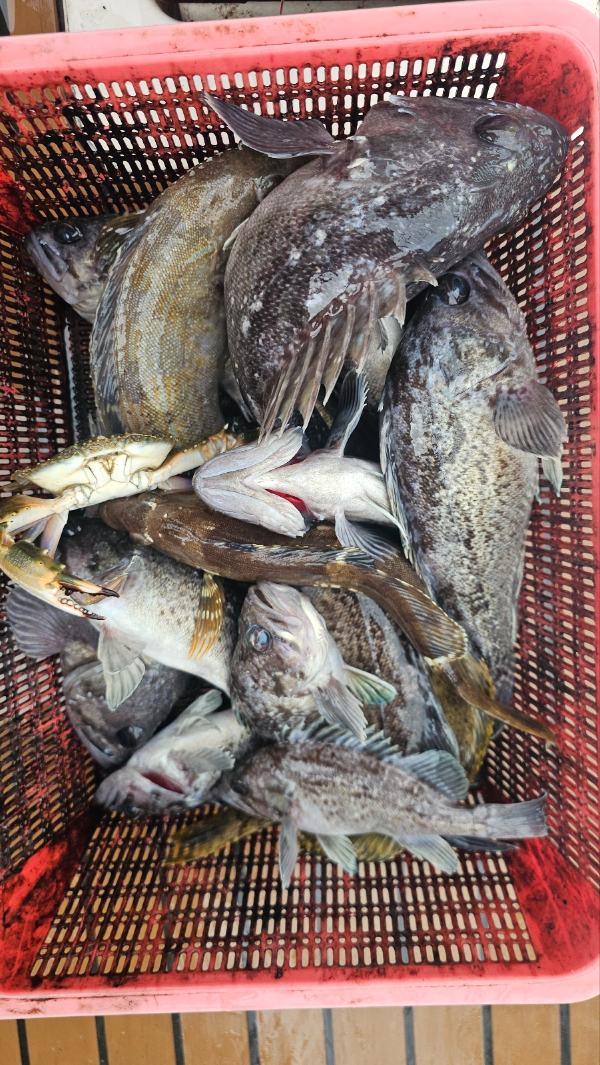
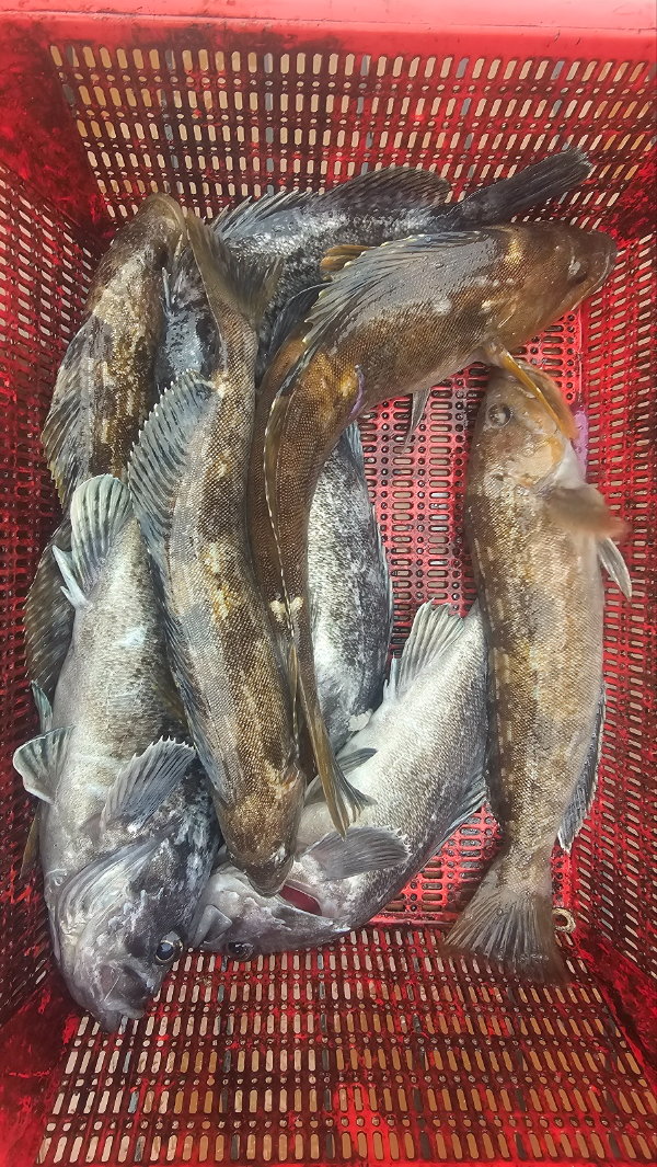
오늘의 조황 소식을 전해드립니다.

25년 첫출조~

설레임 걱정 반반..

다행히 헤르선장님과 함께 조금잡았네요..

오전내내 꽝치다가, 정조때 한방..

반나절 낚시하고 마무리~

찾아주셔서 감사합니다.

다음에 다시뵙겠습니다.

선상 문의 : 010 6642 6745

출조점문의 : 041 663 2020

조황정보 및 검색은

삼길포 천마호 카페

https://cafe.naver.com/kenjo0658​ 

네이버 검색창 : 메타피싱클럽 접속 & 로그인후 이용가능합니다.

출조점 찾아 오시는길: 충남서산시 대산읍 삼길포1로 69 대박마트낚시점

네이버 블로거 :https://blog.naver.com/kenjo43

​인스타그램 : https://www.instagram.com/kenjo43/

​유투브 : https://www.youtube.com/user/kenjo0110/videos


KakaoTalk_20250107_113756667_18.jpg


KakaoTalk_20250107_113756667_01.jpg


KakaoTalk_20250107_113756667_02.jpg


KakaoTalk_20250107_113756667_03.jpg


KakaoTalk_20250107_113756667_04.jpg


KakaoTalk_20250107_113756667_05.jpg


KakaoTalk_20250107_113756667_06.jpg


KakaoTalk_20250107_113756667_07.jpg


KakaoTalk_20250107_113756667_08.jpg


KakaoTalk_20250107_113756667_09.jpg


KakaoTalk_20250107_113756667_10.jpg


KakaoTalk_20250107_113756667_11.jpg


KakaoTalk_20250107_113756667_12.jpg


KakaoTalk_20250107_113756667_13.jpg


KakaoTalk_20250107_113756667_14.jpg


KakaoTalk_20250107_113756667_15.jpg


KakaoTalk_20250107_113756667_16.jpg


KakaoTalk_20250107_113756667.jpg


KakaoTalk_20250107_113756667_17.jpg
 





*** 삼길포 메타피싱클럽 예약안내 ***


예약문의 : 010-6642-6745

오시는길 : 충남 서산시 대산읍 삼길포1로 69 대박마트낚시

모바일.jpg
Top