조황관리HOME / 조황관리 / 상세정보

제목 : 삼길포 천마호 12월9일 우럭다잡아 조황[바다가 내어주는 만큼~]
등록일 : 2025-12-09















안녕하세요.

삼길포메타피싱 천마호 선장입니다.

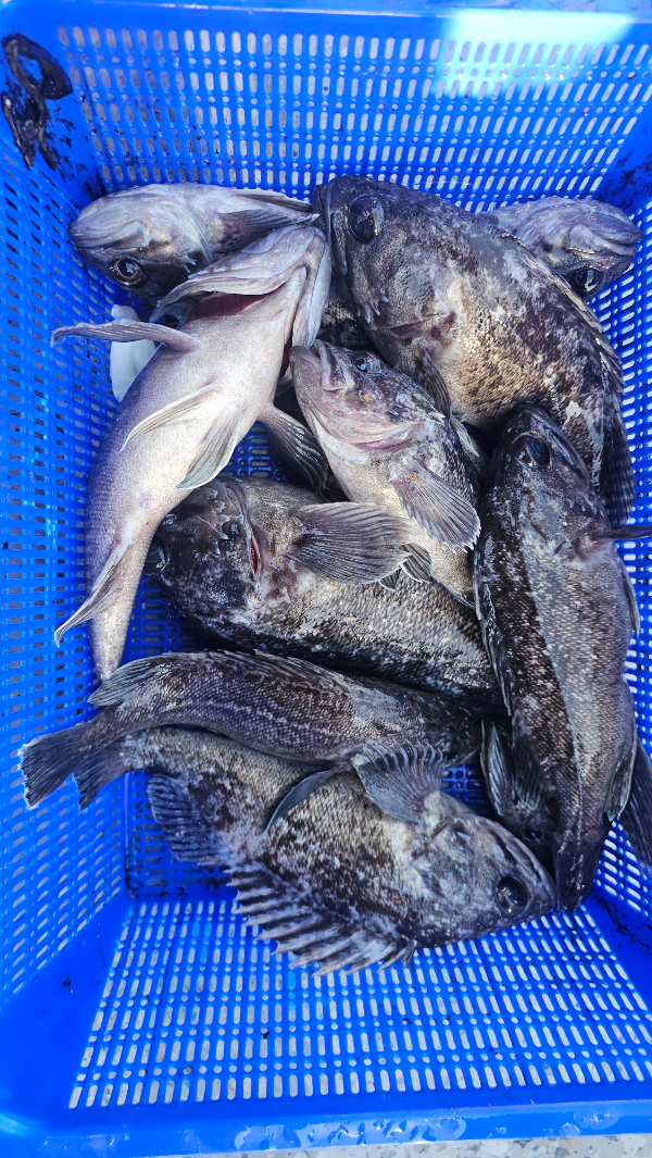
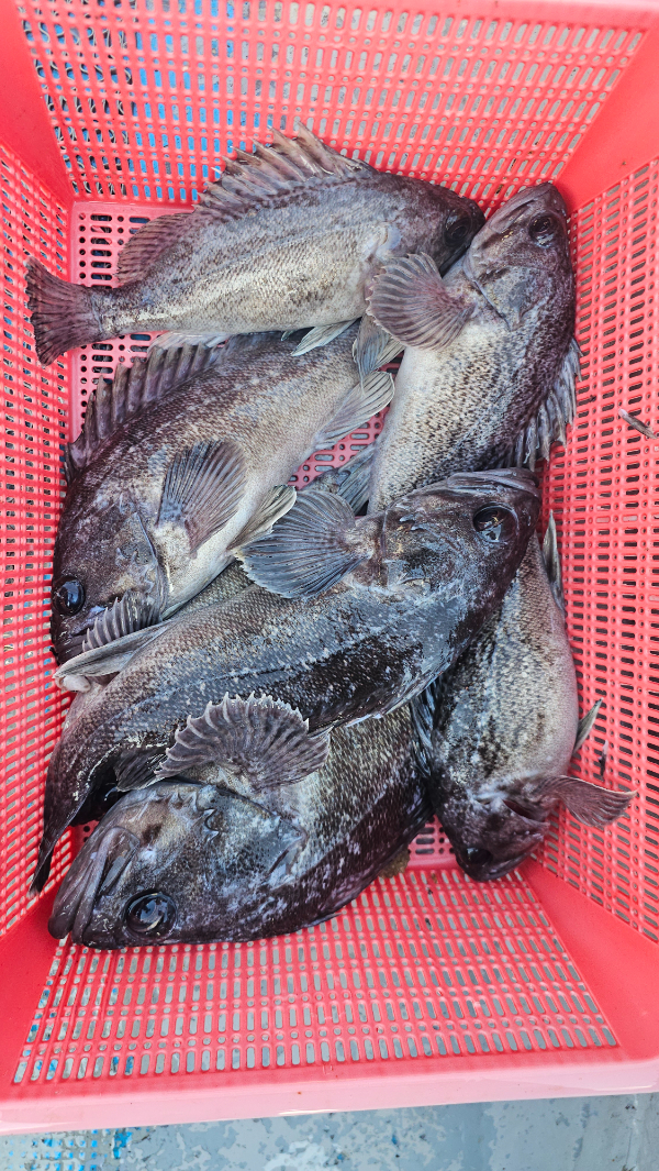
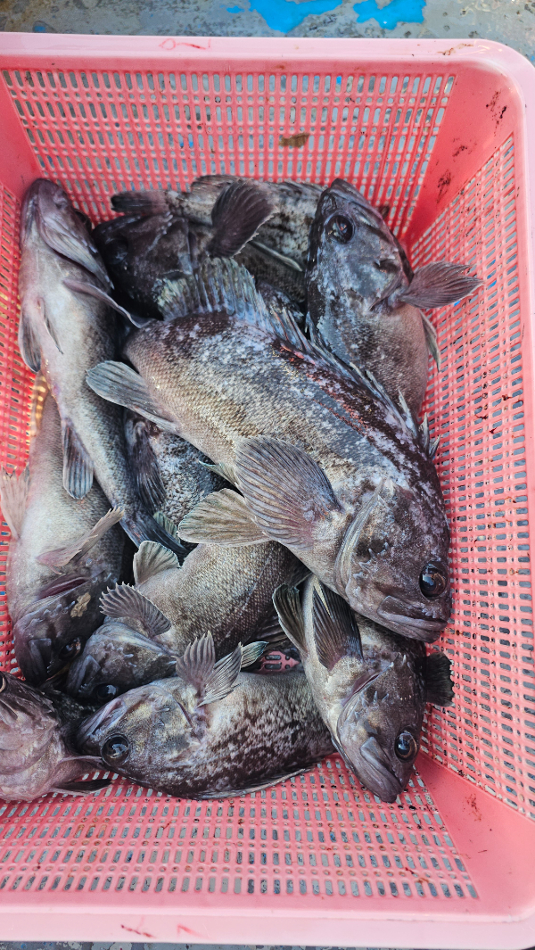
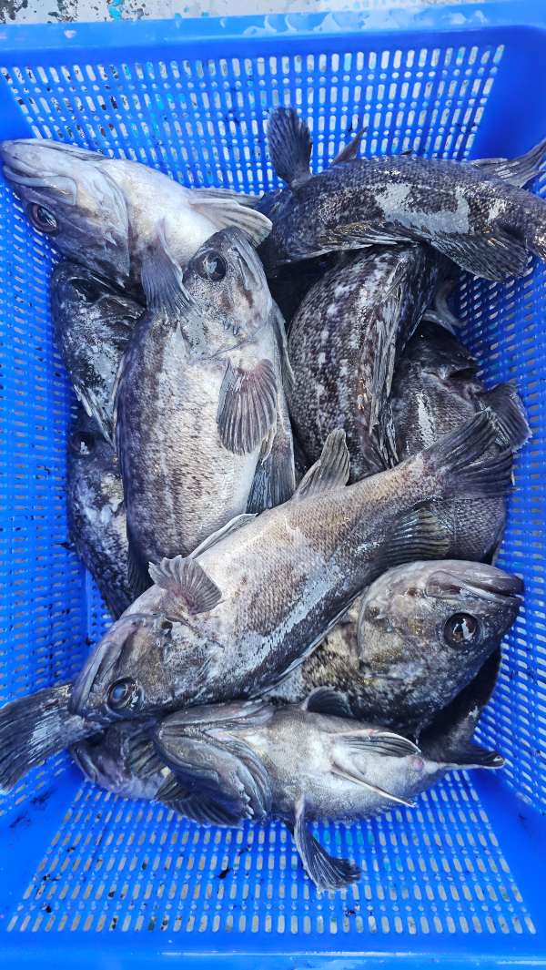
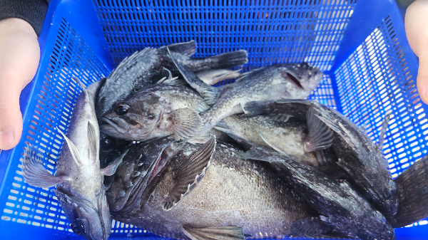
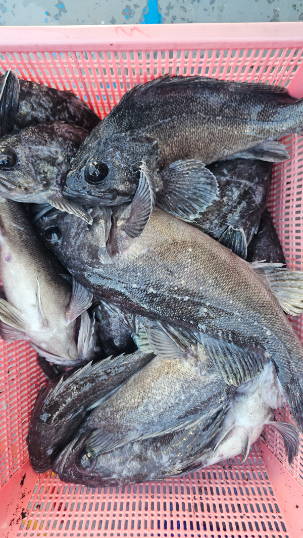
오늘의 조황 소식을 전해드립니다.

오늘도 11명 모시고 출항..

어제 하루 쉬고, 오늘 물이 오전에는 약해서 기대했는데..

물힘이 빠르네요 ㅠㅠ 믿었던 곳에서는 꽝,,오히려 얻어걸린 하루..

초보분들도 몇분 있으셨는데, 열심히 해주셔서 감사할따름입니다.

약속의 장소는 당분간 안가야 할듯..너무 없네요..

사이즈는 들쑥 날쑥..오늘은 가운데, 후미분들이 조금 잡아셨어요..

내일은 기상이오늘보다 좋고 물힘이 약하니,조금씩 멀리나가볼 예정입니다.

내일도 바다가 내어주기를 기대하며 찾아댕겨 보겠습니다.

오늘 찾아주신 분들께 감사드립니다.

침선2단채비

빙빙2단채비

빨간/녹색/흰색 오징어/ 쭈꾸미

봉돌50호

선상 문의 : 010 6642 6745

출조점문의 : 041 663 2020

예약사이트 안내

네이버검색: 삼길포 메타피싱클럽 선상낚시

https://metafishingclub.sunsang24.com/

조황정보 및 검색은

삼길포 천마호 카페

https://cafe.naver.com/kenjo0658

네이버 검색창 : 메타피싱클럽 접속 & 로그인후 이용가능합니다.

출조점 찾아 오시는길: 충남서산시 대산읍 삼길포1로 69 대박마트낚시점

네이버 블로거 :https://blog.naver.com/kenjo43

인스타그램 : https://www.instagram.com/kenjo43/

유투브 : https://www.youtube.com/user/kenjo0110/videos


KakaoTalk_20251209_175027503.jpg


KakaoTalk_20251209_175027503_16.jpg


KakaoTalk_20251209_175027503_03.jpg


KakaoTalk_20251209_175027503_06.jpg


KakaoTalk_20251209_175027503_08.jpg


KakaoTalk_20251209_175027503_10.jpg


KakaoTalk_20251209_175027503_12.jpg


KakaoTalk_20251209_175027503_14.jpg


KakaoTalk_20251209_175027503_19.jpg


KakaoTalk_20251209_175027503_20.jpg

KakaoTalk_20251209_175027503_01.jpg


KakaoTalk_20251209_175027503_02.jpg


KakaoTalk_20251209_175027503_04.jpg


KakaoTalk_20251209_175027503_05.jpg


KakaoTalk_20251209_175027503_07.jpg


Top