조황관리HOME / 조황관리 / 상세정보

제목 : 삼길포 천마호 12월18일 중내만권 우럭.광어 다잡아 조황
등록일 : 2025-12-18


 

안녕하세요.

메타피싱클럽 삼길포천마호 선장입니다.

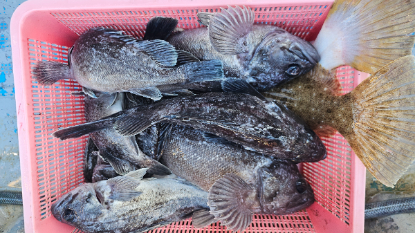
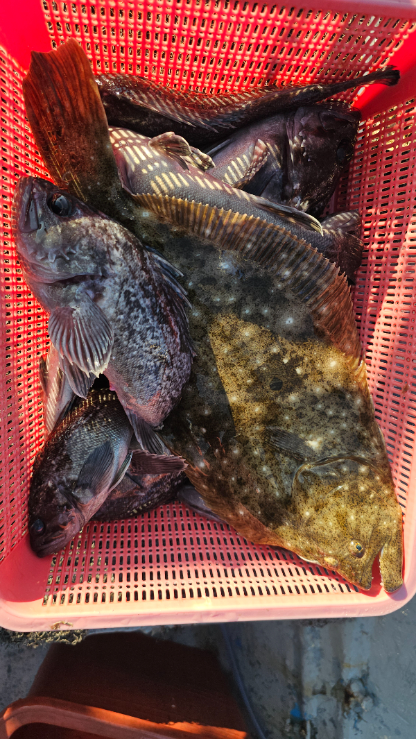
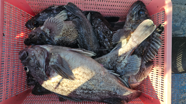
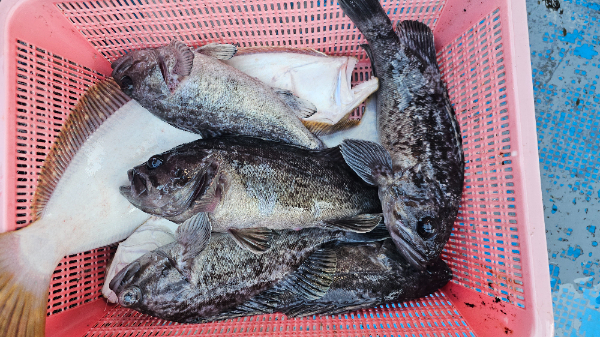
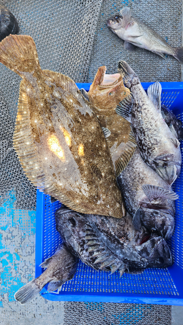
오늘의 조황 소식을 전해드립니다.

오늘 11명 모시고 출항..

오늘은 날씨가 좋네요. 파도도 없고. . 가까운곳 부터 시작해서,

멀리나가봤습니다.

조류가 반겨주네요.. 지루한 시간도 있었는데,

오히려 조류가 빠를때 더 잘나왔어요..이상하죠?

조류가 2노트 ㅋㅋ 라인은 많이 날렸지만, 우당탕이 있어서

잡고 들어왔습니다.

내일도 기상이 좋으니 멀리 나가봅니다.

광어는 2단채비 오징어 물고 나왔어요..참고하세요...

오늘 날림 낚시 하시느라 고생많으 셨습니다~

2단채비

빨간오징어

봉돌50호

선상 문의 : 010 6642 6745

출조점문의 : 041 663 2020

예약사이트 안내

네이버검색: 삼길포 메타피싱클럽 선상낚시

https://metafishingclub.sunsang24.com/

조황정보 및 검색은

삼길포 천마호 카페

https://cafe.naver.com/kenjo0658

네이버 검색창 : 메타피싱클럽 접속 & 로그인후 이용가능합니다.

출조점 찾아 오시는길: 충남서산시 대산읍 삼길포1로 69 대박마트낚시점

네이버 블로거 :https://blog.naver.com/kenjo43

인스타그램 : https://www.instagram.com/kenjo43/

유투브 : https://www.youtube.com/user/kenjo0110/videos


KakaoTalk_20251218_175849099_16.jpg


KakaoTalk_20251218_175849099_14.jpg


KakaoTalk_20251218_175849099_01.jpg


KakaoTalk_20251218_175849099_07.jpg


KakaoTalk_20251218_175849099_10.jpg


KakaoTalk_20251218_175849099_12.jpg


KakaoTalk_20251218_175849099.jpg


KakaoTalk_20251218_175849099_03.jpg


KakaoTalk_20251218_175849099_18.jpg

KakaoTalk_20251218_175849099_21.jpg


KakaoTalk_20251218_175849099_06.jpg


KakaoTalk_20251218_175849099_08.jpg


KakaoTalk_20251218_175849099_11.jpg


KakaoTalk_20251218_175849099_13.jpg


KakaoTalk_20251218_175849099_24.jpg


KakaoTalk_20251218_175849099_25.jpg


KakaoTalk_20251218_175849099_26.jpg

 





*** 삼길포 메타피싱클럽 예약안내 ***


예약문의 : 010-6642-6745

오시는길 : 충남 서산시 대산읍 삼길포1로 69 대박마트낚시

모바일.jpg

Top