조황관리HOME / 조황관리 / 상세정보

제목 : 삼길포 천마호 12월19일 10인 우럭.광어 다잡아 조황 (바다가 내어주는만큼..)
등록일 : 2025-12-19




















































안녕하세요.

메타피싱클럽 삼길포천마호 선장입니다.

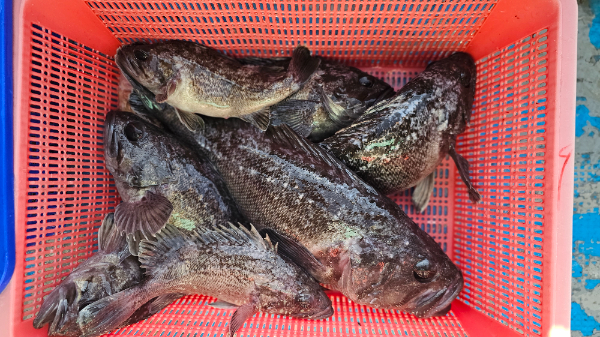
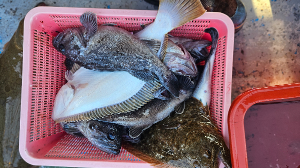
오늘의 조황 소식을 전해드립니다.

오늘은 10명 모시고 출항 ..

어제의 좋은 기운을 이어 받아서,

그곳으로 다녀왔습니다.

바람이 훼방을 ㅜㅜ

그래도 나름 드실만큼 잡으셨습니다.

광어 6짜도 나오고, 우럭도 큼직한 녀석들도

입질해주고, 즐겁게 즐기고왔습니다.

봉돌60호가 답이었네요ㅎㅎ

내일 50호에 봉돌작은거 하나 꼭 달으시면,

좋을겁니다.

내일도 조류가 빠르지만 흘림낚시 진행합니다.

수심은35-45미터~~

다만,내일은 오전에 승부를 ..

오후에 파도가 커져요.ㅠㅠ

참고하셔서 내일 화이팅해주세요~

오늘 찾아주신분들께 감사드립니다.

봉돌50+10호

빙빙2단채비 필수

빨간오징어필수~!! 녹색오징어.쭈꾸미

다운샷채비/핑크 .모터오일레드.

선상 문의 : 010 6642 6745

출조점문의 : 041 663 2020

예약사이트 안내

네이버검색: 삼길포 메타피싱클럽 선상낚시

https://metafishingclub.sunsang24.com/

조황정보 및 검색은

삼길포 천마호 카페

https://cafe.naver.com/kenjo0658

네이버 검색창 : 메타피싱클럽 접속 & 로그인후 이용가능합니다.

출조점 찾아 오시는길: 충남서산시 대산읍 삼길포1로 69 대박마트낚시점

네이버 블로거 :https://blog.naver.com/kenjo43

인스타그램 : https://www.instagram.com/kenjo43/

유투브 : https://www.youtube.com/user/kenjo0110/videos


KakaoTalk_20251219_172020322.jpg


KakaoTalk_20251219_172020322_01.jpg


KakaoTalk_20251219_172020322_02 - 복사본.jpg


Top