조황관리HOME / 조황관리 / 상세정보

제목 : 삼길포 천마호 4월11일 다잡아부러 조황~
등록일 : 2026-04-12



안녕하세요. 
삼길포 천마호 선장입니다. 
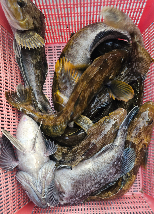
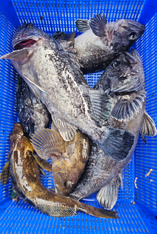
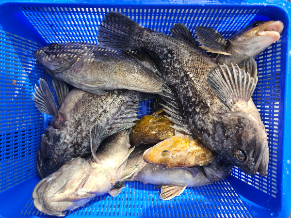
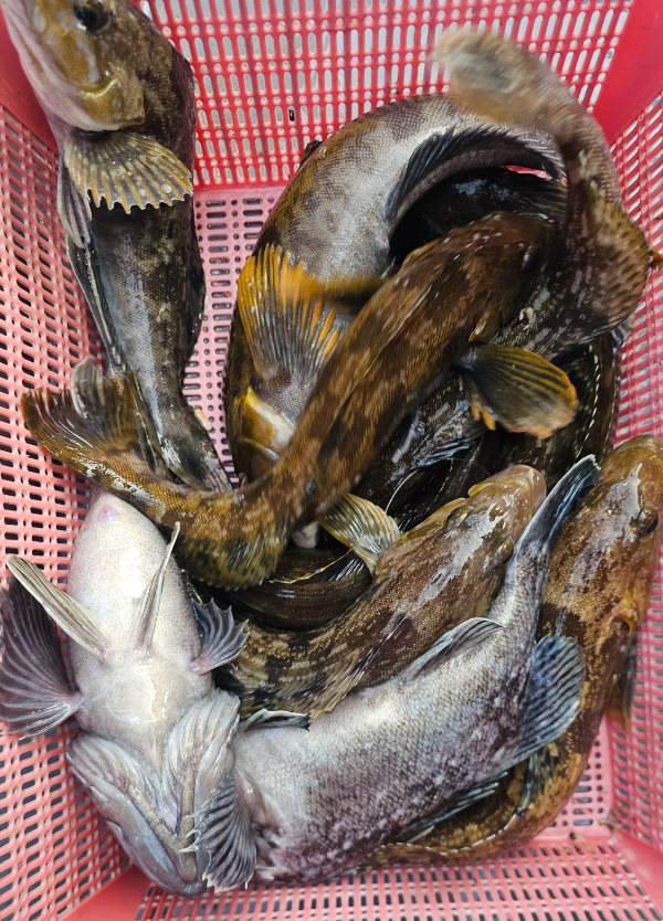
오늘의 조황 소식을 전해드립니다. 
오늘도 11명 모시고 출조 다녀왔습니다.
오늘 준수님, 멋진그넘님 찾아주셨네요.
하필 좌현 후미라 이야기는 못나누고,
카메라로 보기만 했네요ㅎㅎ

어제도 출조했는데, 어제와 오늘은 다르네요.
어제는 파도.바람에 고생했는데,
오늘은 오전에 괜찮아서,손맛보셨습니다.

오늘 타이라바로 하신분들도 잡으셔서 
새로운 발견이었습니다.
헤드150g 스커트 지렁이..
어초 탓는데도 밑걸림이 별로없었다니,
신기했습니다.
좀 더 연구를 해봐야겠습니다.
오늘 찾아주신분들께 감사드립니다.
내일도 손맛보실수있도록 최선을다하겠습니다.

봉돌50호 2단채비
지렁이.빨간오징어

선상 문의 : 010 6642 6745 
출조점문의 : 041 663 2020 

예약사이트 안내  
네이버검색: 삼길포 메타피싱클럽 선상낚시  

조황정보 및 검색은  
삼길포 천마호 카페  

​ 
네이버 검색창 : 메타피싱클럽 접속 & 로그인후 이용가능합니다.  
출조점 찾아 오시는길: 충남서산시 대산읍 삼길포1로 69 대박마트낚시점  

네이버 블로거 :https://blog.naver.com/kenjo43



*** 삼길포 메타피싱클럽 예약안내 ***


예약문의 : 010-6642-6745

오시는길 : 충남 서산시 대산읍 삼길포1로 69 대박마트낚시

모바일.jpg

Top