조황관리HOME / 조황관리 / 상세정보

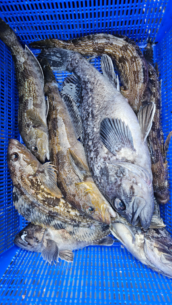
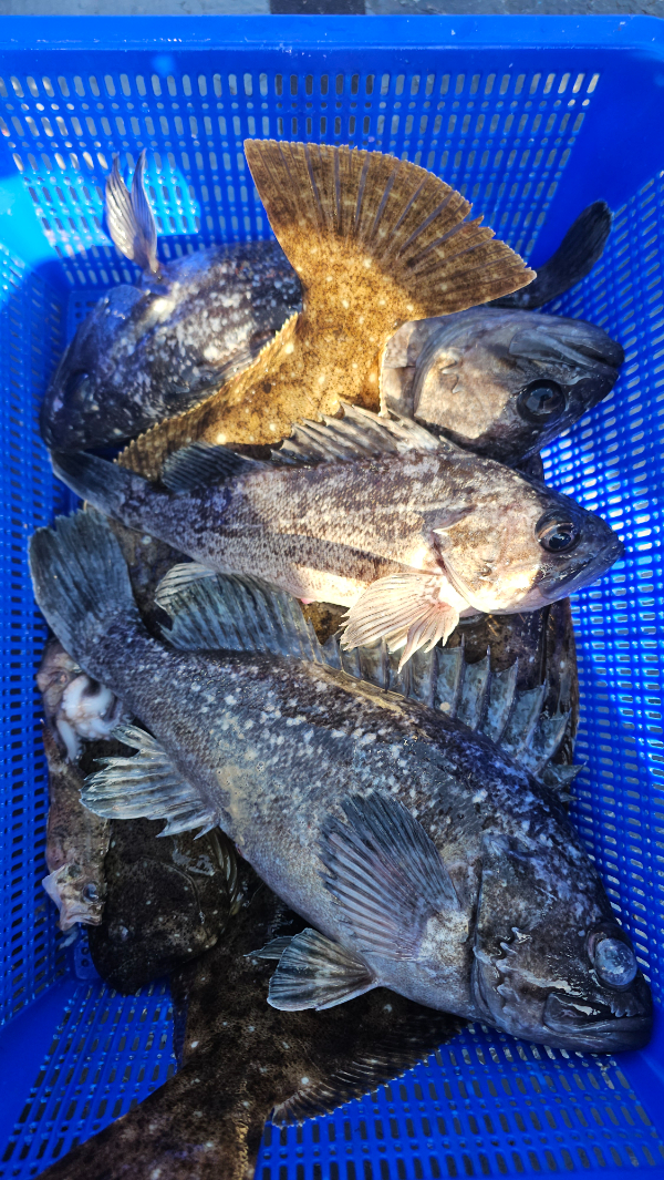
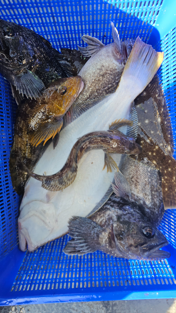
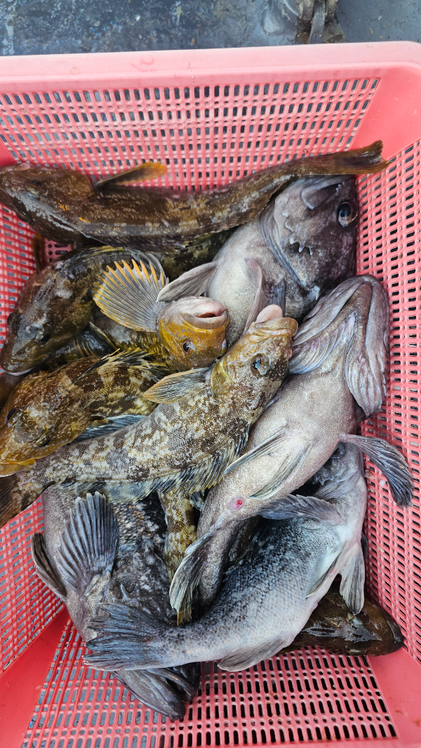
제목 : 삼길포 천마호 4월26일 우럭.광어 다잡아 조황
등록일 : 2026-04-27



안녕하세요.
메타피싱클럽 삼길포천마호 선장입니다.
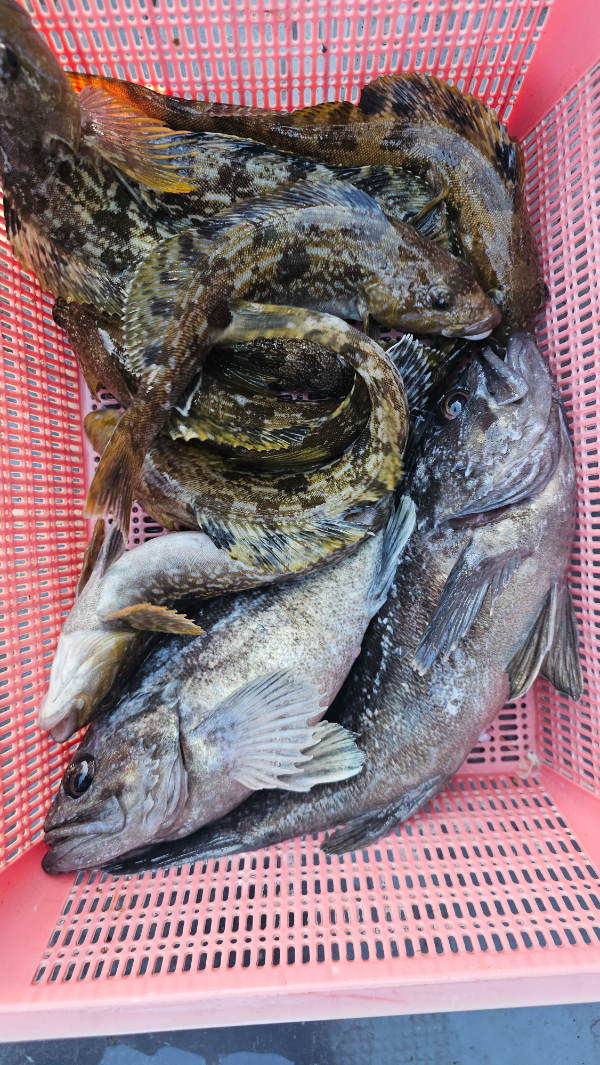
오늘의 조황 소식을 전해드립니다.
오늘도 11명 모시고 출항했습니다.
다운샷 준비하신분들이 8명 생미끼 3명
준비하여 낚시 시작..
오늘은 흘림낚시에 초점을 맞췄습니다.
다운샷 가져오신분들은 힘든하루였네요.
내일은 꼭 생미끼  준비해주세요.
빨간오징어.지렁이 좋았습니다.
초보2명 커플분들이 제일 많이 잡으셨네요.
오늘 찾아주신분들께 감사드립니다.
다운샷으로 낚시 해주신 전성용님 팀분들께
감사드립니다.
또한, 오늘 보드카.썬크림 이벤트 찬조 해주신,
그럴리가 님께 다시한번 감사드립니다.
내일도 손맛보실수 있도록 최선을다하겠습니다.

선상 문의   : 010 6642 6745
출조점문의 :  041 663 2020

예약사이트 안내 
네이버검색: 삼길포 메타피싱클럽 선상낚시 
https://metafishingclub.sunsang24.com/

조황정보 및 검색은 
삼길포 천마호 카페 
https://cafe.naver.com/kenjo0658​


네이버 검색창 : 메타피싱클럽 접속 & 로그인후 이용가능합니다. 
출조점 찾아 오시는길: 충남서산시 대산읍 삼길포1로 69 대박마트낚시점 

네이버 블로거 :https://blog.naver.com/kenjo43
​인스타그램 : https://www.instagram.com/kenjo43/
​유투브 : https://www.youtube.com/user/kenjo0110/videos
20260426_171545.jpg


20260426_170348.jpg


20260426_170340.jpg


20260426_170325.jpg


20260426_170303.jpg


20260426_170310.jpg

20260426_170332.jpg


20260426_170327.jpg


20260426_170314.jpg


20260426_170345.jpg


20260426_095341.jpg


20260426_101303.jpg

 





*** 삼길포 메타피싱클럽 예약안내 ***


예약문의 : 010-6642-6745

오시는길 : 충남 서산시 대산읍 삼길포1로 69 대박마트낚시

모바일.jpg

Top