조황관리HOME / 조황관리 / 상세정보

제목 : 삼길포 천마호 4월 27일 우럭.광어 다잡아 조황~
등록일 : 2026-04-27




























































안녕하세요.

메타피싱클럽 삼길포 천마호 선장입니다.

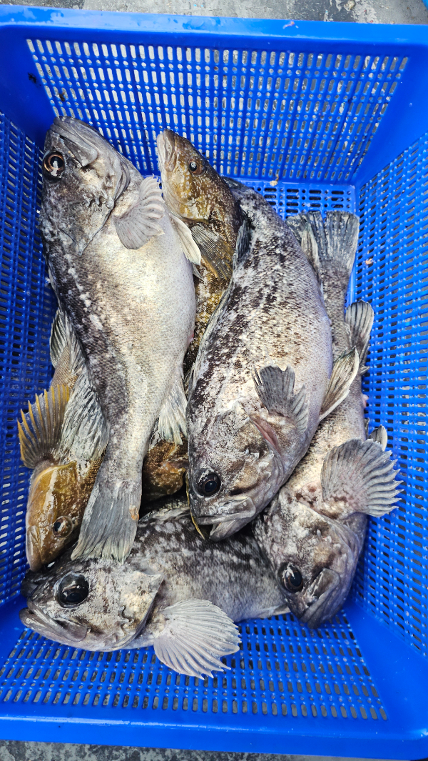
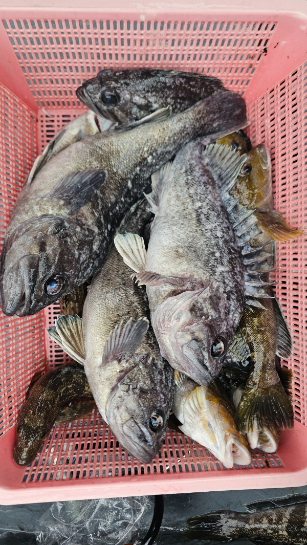
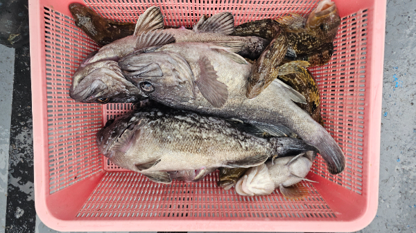
오늘의 조황 소식을 전해드립니다.

오늘은 10명 모시고 출항~

어제와 비슷하게 멀리나가서 흘림낚시 진행..

생미끼 대부분 가져오시고,

처음에는 힘들어 하셨는데, 점점 적응하셔서,

조금씩 잡기 시작했습니다.

오랫만에 부매니저님 돌고래님 찾아주셔서,

타이라바로 잡아주셨네요.

오늘 광어도 4장나왔습니다.

내일하루 쉬고, 수요일 단체팀 독배,

광어다운샷 나가서 대광어 노려보겠습니다.

5월 2일/3일 잔여석 많이 있습니다.

광어다운샷 진행하실분들께서는 도전해보세요 ~!

이벤트 곧 공지해서 진행합니다 ~

오늘 찾아주신분들께 감사드립니다.

봉돌50호

2단채비

빨간오징어.지렁이

선상 문의 : 010 6642 6745

출조점문의 : 041 663 2020

예약사이트 안내

네이버검색: 삼길포 메타피싱클럽 선상낚시

https://metafishingclub.sunsang24.com/

조황정보 및 검색은

삼길포 천마호 카페

https://cafe.naver.com/kenjo0658

네이버 검색창 : 메타피싱클럽 접속 & 로그인후 이용가능합니다.

출조점 찾아 오시는길: 충남서산시 대산읍 삼길포1로 69 대박마트낚시점

네이버 블로거 :https://blog.naver.com/kenjo43

인스타그램 : https://www.instagram.com/kenjo43/

유투브 : https://www.youtube.com/user/kenjo0110/videos

Top